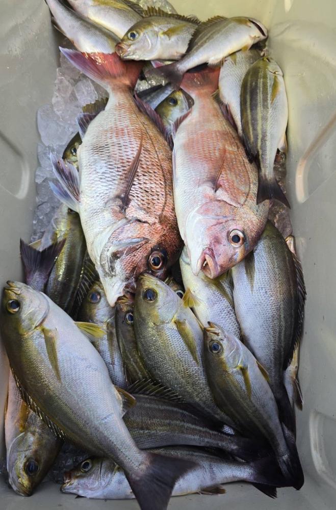
イサキの反応良くいっぱい釣れました!笑
アジ・マダイは反応少なくちょっと厳しかったです。
イサキは頭で25匹、マダイは1kg1匹、イトヨリ・アマダイ
明日の夜釣りムギイカ空いてま~す!
16時半集合
4/1より
☆集合時間☆
午前◇4:30集合 5:30〜10:30
早朝の為、店舗・駐車場周辺はお静かにお願い致します。
午後◇12:30集合 13:30〜18:30
2025年05月31日
2025年05月31日
posted by 魚磯丸 at 12:24
| 釣果写真
2025年05月30日
posted by 魚磯丸 at 07:17
| 釣果写真
2025年05月29日
posted by 魚磯丸 at 19:24
| 釣果写真
2025年05月28日
posted by 魚磯丸 at 11:42
| 釣果写真
2025年05月27日
posted by 魚磯丸 at 11:29
| 釣果写真
2025年05月26日
2025年05月24日
2025年05月24日
2025年05月21日
2025年05月20日
posted by 魚磯丸 at 11:54
| 釣果写真
2025年05月20日
2025年05月19日
2025年05月18日
午前
マダイ:2匹 0.5~0.7kg(仕立船)
一発大物狙いでしたが餌とり多く、なんとかキープサイズ(^^;
他 イサキ
別船乗合はレンタルのお客様主体。
レンタルさんチームに1kg前後が2匹。
バラシあり
他 アジ・イサキ
午後
仕立船は午前と同じく一発大物狙い!
でしたが、1kg級1匹とアジ・イサキ
別船は1~3.2kgが3匹と黒鯛(2kg級)・イサキ
今日は一日風予報で釣り辛かったですが、マダイダービー最終日ともあり皆さん頑張っていただきました。
2ヶ月続いた大好評のマダイダービー、今年はなかなか大物出ず、また天候が悪かったりと思うような釣りができなかったなかと思います。
それでも最後まで諦めず通っていただき、最終的に94名のお客様が参加でした。
スタッフ一同心より感謝申し上げます、ありがとうございました。
★最終結果はまた後日掲載致します。
お疲れ様でした・・・
マダイ:2匹 0.5~0.7kg(仕立船)
一発大物狙いでしたが餌とり多く、なんとかキープサイズ(^^;
他 イサキ
別船乗合はレンタルのお客様主体。
レンタルさんチームに1kg前後が2匹。
バラシあり
他 アジ・イサキ
午後
仕立船は午前と同じく一発大物狙い!
でしたが、1kg級1匹とアジ・イサキ
別船は1~3.2kgが3匹と黒鯛(2kg級)・イサキ
今日は一日風予報で釣り辛かったですが、マダイダービー最終日ともあり皆さん頑張っていただきました。
2ヶ月続いた大好評のマダイダービー、今年はなかなか大物出ず、また天候が悪かったりと思うような釣りができなかったなかと思います。
それでも最後まで諦めず通っていただき、最終的に94名のお客様が参加でした。
スタッフ一同心より感謝申し上げます、ありがとうございました。
★最終結果はまた後日掲載致します。
お疲れ様でした・・・
posted by 魚磯丸 at 19:42
| 釣果写真
2025年05月17日
posted by 魚磯丸 at 11:35
| 釣果写真
2025年05月16日
2025年05月15日
posted by 魚磯丸 at 19:11
| 釣果写真
2025年05月14日
posted by 魚磯丸 at 19:21
| 釣果写真
2025年05月13日
2025年05月13日
2025年05月12日
2025年05月12日
2025年05月11日
2025年05月10日
2025年05月09日
2025年05月09日
2025年05月08日
2025年05月08日
2025年05月07日
2025年05月06日
前半反応出ても当たりなく大苦戦。
夕方イサキ・アジが釣れ、お土産確保する中に良型マダイが釣れました。
しかし、3.1kg1匹・・・(^^;
雨降りの中、お疲れ様でした。
●参考にしてみてください!
◇【完全魚探解説・コマセダイ】旬魚攻略マニュアル②乗っ込みマダイ/松本圭一
◇2025年3月31日 つり情報旬魚攻略マニュアル②撮影後居残りフィッシング。沼津沖の乗っ込み?まだ?コマセ真鯛釣り午後船 #コマセ真鯛釣り #魚磯丸 #シマノ #フォースマスター600 #舳 #探見丸
4/1より
☆集合時間☆
午前◇4:30集合 5:30〜10:30
早朝の為、店舗・駐車場周辺はお静かにお願い致します。
午後◇12:30集合 13:30〜18:30
夕方イサキ・アジが釣れ、お土産確保する中に良型マダイが釣れました。
しかし、3.1kg1匹・・・(^^;
雨降りの中、お疲れ様でした。
●参考にしてみてください!
◇【完全魚探解説・コマセダイ】旬魚攻略マニュアル②乗っ込みマダイ/松本圭一
◇2025年3月31日 つり情報旬魚攻略マニュアル②撮影後居残りフィッシング。沼津沖の乗っ込み?まだ?コマセ真鯛釣り午後船 #コマセ真鯛釣り #魚磯丸 #シマノ #フォースマスター600 #舳 #探見丸
4/1より
☆集合時間☆
午前◇4:30集合 5:30〜10:30
早朝の為、店舗・駐車場周辺はお静かにお願い致します。
午後◇12:30集合 13:30〜18:30
posted by 魚磯丸 at 19:09
| 釣果写真
2025年05月06日
2025年05月05日
2025年05月05日
posted by 魚磯丸 at 11:45
| 釣果写真













































































































































